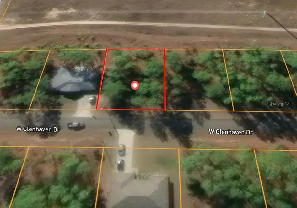
532 W GLENHAVEN DRIVECITRUS SPRINGS, FL 34434


Mortgage Calculator
Monthly Payment (Est.)
$103Discover the perfect opportunity to own a 0.23-acre homesite in Citrus Springs, Florida! This spacious lot is nestled in a quiet, growing community known for its natural beauty and relaxed lifestyle. With paved road access and plenty of room to build, it’s ideal for your future home, vacation getaway, or long-term investment. Enjoy the convenience of nearby shopping, dining, schools, and outdoor recreation—including golf courses, parks, and the Withlacoochee State Trail. No HOA means more flexibility to design and build on your terms. Whether you’re looking to build now or hold for the future, this property offers excellent potential at an affordable price. Don’t miss your chance to own land in one of Florida’s up-and-coming areas!
| yesterday | Listing updated with changes from the MLS® | |
| 2 days ago | Listing first seen on site |
Listing information is provided by Participants of the Stellar MLS. IDX information is provided exclusively for personal, non-commercial use, and may not be used for any purpose other than to identify prospective properties consumers may be interested in purchasing. Information is deemed reliable but not guaranteed. Properties displayed may be listed or sold by various participants in the MLS Copyright 2026, Stellar MLS.
Last checked: 2026-04-24 08:20 PM EDT


Did you know? You can invite friends and family to your search. They can join your search, rate and discuss listings with you.